Lots available
Dickinson Lots
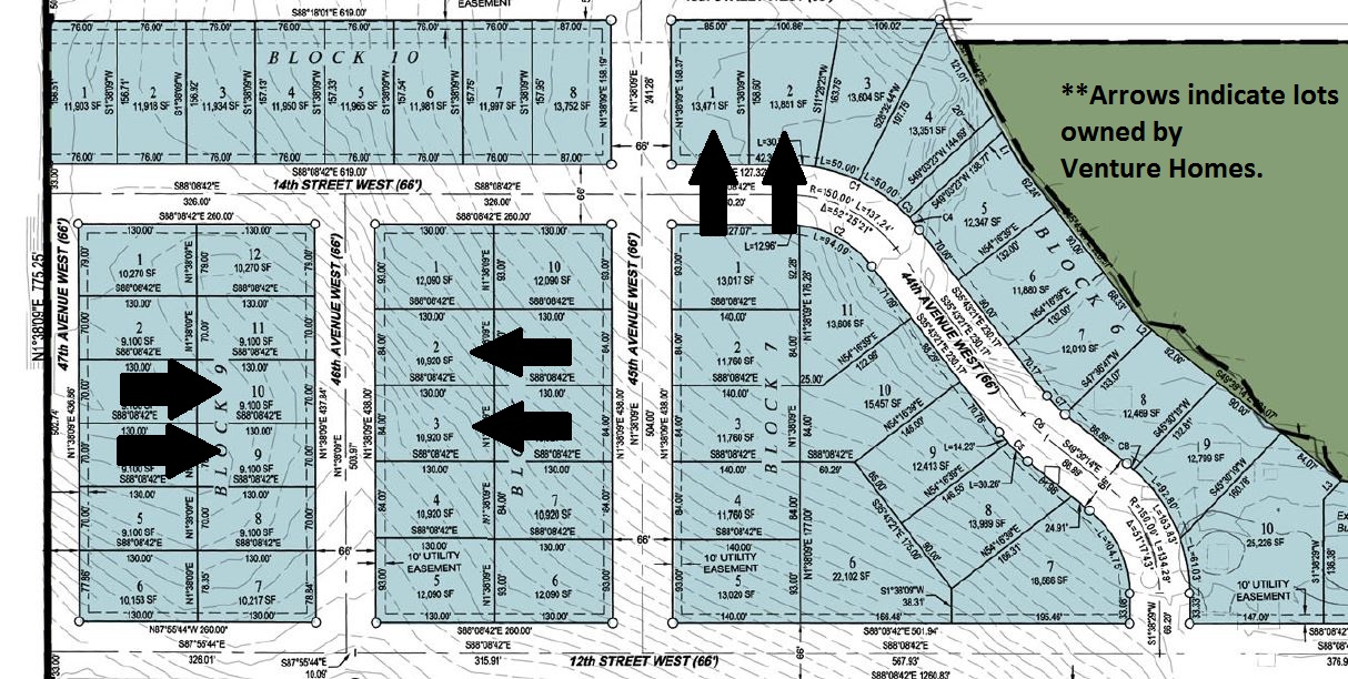
- Lot 1, Block 6, West Ridge 2nd – 85′ x 158′
- Lot 2, Block 6, West Ridge 2nd – 100′ x 158′
- Lot 2, Block 8, West Ridge 2nd – 84′ x 130′
- Lot 3, Block 8, West Ridge 2nd – 84′ x 130′
- Lot 9, Block 9, West Ridge 2nd – 70′ x 130′
- Lot 10, Block 9, West Ridge 2nd – 70′ x 130′
- Lot 4, Block 3, Sundance Coves Subdivision – 65′ x 127′
- Lot 5, Block 3, Sundance Coves Subdivision – 65′ x 120′
- Lot 6, Block 3, Sundance Coves Subdivision – 65′ x 120′
Bismarck Lots
- Lot 16, Block 12, Eagle Crest Sixth Addition – 13,230 SF
- Lot 17, Block 12, Eagle Crest Sixth Addition – 13,230 SF
- Lot 1, Block 13, Eagle Crest Sixth Addition – 14,047 SF
- Lot 5, Block 13, Eagle Crest Sixth Addition – 11,900 SF
- Lot 22, Block 13, Eagle Crest Sixth Addition – 12,600 SF

Mandan Lots
- Lot 9, Block 1, Keidels 3rd Addition – 15,469 SF
- Lot 11, Block 1, Keidels 3rd Addition – 15,744 SF



